淠史杭水利文化展示中心项目规划方案批前公示
依据《中华人民共和国城乡规划法》和《关于城乡规划公开公示的规定》等相关规定,现将本方案进行批前公示,征询公众意见。如有意见者,请以纸质或者电子邮件形式与我局相关单位联系。(该方案为批前公示图,以最终我局审批公告为准)
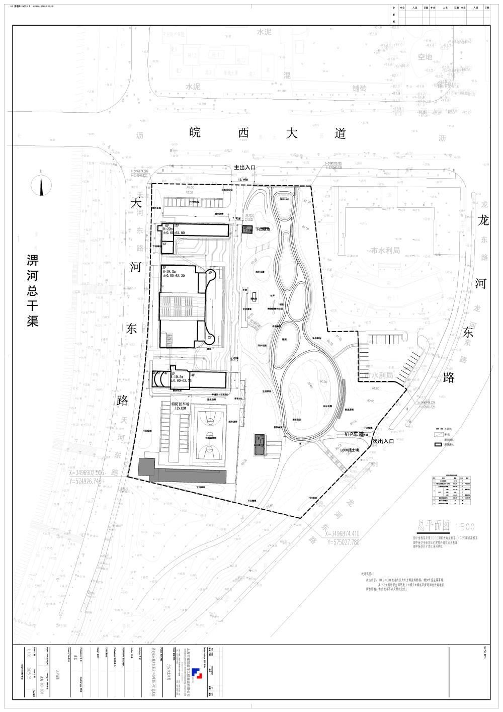
一、项目概况:
由六安市人民政府与安徽省水利厅共建的淠史杭水利文化展示中心项目,东至市水利局、西至天河东路、南至公共绿地、北至皖西大道,主要建设内容包括内部展陈和外部空间拓展2个部分。本次公示内容为该项目外部空间拓展方案,主要包括建筑外观改造、周边场地改造和增设龙河路出入口3个方面。
二、 公示地点:
1、六安市自然资源和规划局网站:http://zrzy.luan.gov.cn/“规划批前公示”栏目。
2、该项目建设现场。
三、 公示时间:2025年5月19日—2024年5月27日
四、 联系方式:
1、联系单位:六安市自然资源和规划局
2、电子邮箱:1287845923@qq.com
3、邮寄地址:六安市佛子岭路与淠望路交叉口市自然资源和规划局
4、邮编:237000
5、电话:3378085
五、总平面图和效果图


标签:
关联信息
智能问答
首页
政务资讯
信息公开
办事服务
互动交流
规划计划 

皖公网安备 34150202000128号